€ 650.000 - MIMA60_


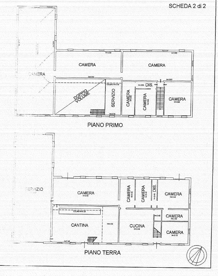
  • 20 Locali

  • Garage

  • Giardino

terreno edificabile + terreno agricolo

Un’opportunità imperdibile per investitori e imprenditori immobiliari: proponiamo in vendita esclusiva un fabbricato urbano di circa 900 mq, con possibilità di realizzare fino a 10 unità abitative
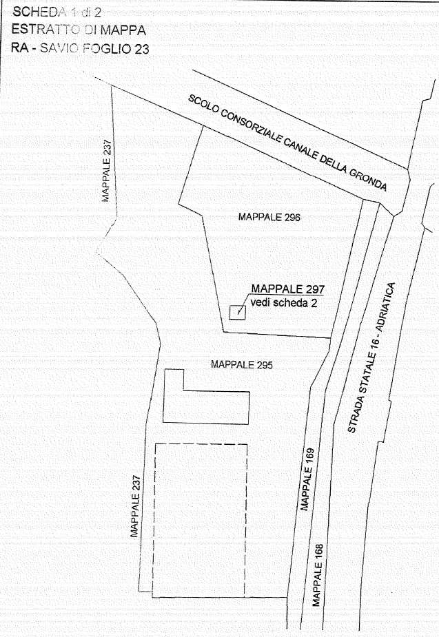
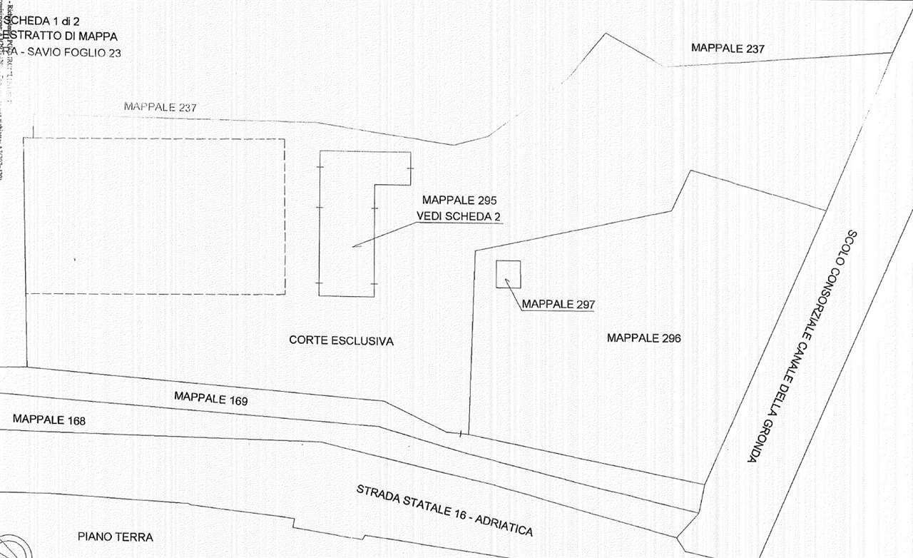
Ci troviamo a Fosso Ghiaia a 500 mt da Mirabilandia
🌳 Completa la proprietà un ampio terreno di ben 43.412 mq, ideale per ulteriori sviluppi o servizi accessori.
💰 Richiesta: € 650.000.
📲 Per info e visite: 339 6473301.

Tipologia Terreni edificabili in vendita a Modena
Contratto Vendite
Superficie 1000 m2

Dettagli

  • Codice : MIMA60_
  • Zona : Fosso Ghiaia
  • Città : Ravenna
  • Classe : G
  • Garage
  • Giardino : 43412 m/2
  • Posizione : Mare
  • Totale piani : Due

Costo immobile - € 650.000

Ti offriamo l'opportunità di rate mensili.

Sei interessato?

Contattaci per maggiori informazioni.

Acconsento l'iscrizione al programma di email marketing.*

Please wait...
Chiamaci